News Archive November 16, 2020
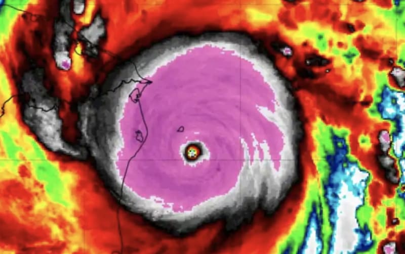
Nicaraguan Tobacco Survives Hurricane Eta Prepares for Iota
From Cigar Dojo on
Posted in
News
New Air Coolidor WINNER Announcement!!!
From Zeal Cigar Review on
Posted in
Promotions
15802 N Cave Creek PHX AZ 85032
M-SAT 11-7pm / SUN 11-5pm
ZEAL CIGARS WEBSITE:
https://www.zealcigars.com
FACEBOOK:
https://www.facebook.com/zealcigars
Facebook ZT6 (Private Group)
https://www.facebook.com/groups/zealcigarsteamsix/
LINKEDIN:
https://www.linkedin.com/in/brad-reith-53984313/
INSTAGRAM/…
Smoke Night LIVE – Omar de Frias from Fratello
From Cigar Dojo on
Posted in
Events
AJ Fernandez Bellas Artes Maduro Robusto Cigar Review
From CigarObsession on
Posted in
Reviews
Flavor Odyssey – WILDCARD – Tabernacle David paired with Bourbon
From Cigar Dojo on
Posted in
News
CAMACHO ECUADOR | CIGAR REVIEW
From Martín Amaya Cigar Reviews on
Posted in
Reviews
#CigarReview #Camacho #CamachoCigars
Shop Camacho cigars…
PDR Cigars Releasing Devil’s Weed Green Devil
From halfwheel on
Posted in
Announcements
Alec & Bradley Kintsugi Cigar Release
From JR Cigars on
Posted in
Videos
Corona Cigar of the Month Club November 2020 | Cigar Prop
From Cigar Prop on
Posted in
Videos
You can find the Corona Cigar of the Month details on the Corona…
Blind Cigar Review: La Aurora | Embassador Habana Corojo Corona Gorda
From Blind Man's Puff on
Posted in
Reviews
Light Em Up November
From Cigar Journal on
Posted in
News
Weekly News (Nov. 16, 2020)
From halfwheel on
Posted in
News


